近日,拱墅区香积寺路(长浜路-费家塘路)、石桥单元汇铁路(新苑路-石桥河)道路工程项目顺利取得施工许可证,为开工建设打好坚实基础。
香积寺路(长浜路-费家塘路)
位于杭州市拱墅区东新单元,起点长浜路,终点费家塘路。项目总用地面积9131平方米。道路长约360米,标准段宽30米,为城市次干道。

作为拱墅区东新区块的重要配套道路,该项目落成后,将进一步织密区域交通路网,有效疏通片区之间的交通脉络。届时,周边居民的日常出行将更加便捷顺畅,通勤效率与生活便利性显著提升,从而整体改善区域的居住环境与生活品质。
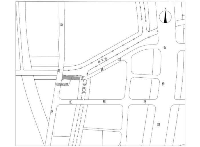
石桥单元汇铁路(新苑路-石桥河)
位于杭州市拱墅区石桥单元,起点新苑路,终点石桥河。项目总用地面积994平方米。道路长约70米,标准段宽14米,为城市支路。

本项目是拱墅区杨家村区块的关键配套道路,其建成将直接强化区域间的交通联系,提升路网整体效率。一方面极大便利居民日常出行,另一方面也通过完善基础设施,带动区域生活与居住品质同步升级,切实增强民生福祉,让幸福感和获得感落到实处。